Thousands forced to evacuate as super Typhoon Ragasa hits Philippines and Taiwan
There were closures and evacuations as one of the strongest typhoons of 2025 threatened to cause flooding and landslides
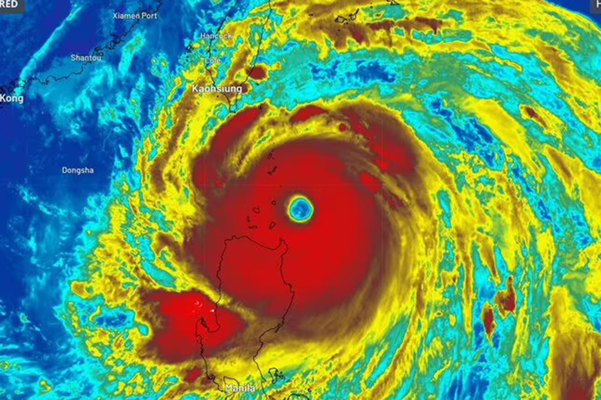
Thousands of people were evacuated from villages in the Philippines and Taiwan as one of the strongest typhoons this year threatened to cause flooding and landslides on its way to southeastern China.
Super Typhoon Ragasa had sustained winds of 215 kilometers (134 miles) per hour and gusts of up to 265 kph (165 mph) and was centered east of the island town of Calayan off Cagayan province, Philippine forecasters said. It was heading west at 20 kph (12 mph) and may pass close or make landfall over Cagayan’s Babuyan islands by midday or early afternoon Monday.
The Philippines' weather agency warned of coastal inundation, saying “there is a high risk of life-threatening storm surge with peak heights exceeding 3 meters (nearly 10 feet) within the next 24 hours over the low-lying or exposed coastal localities” of the northern provinces of Cagayan, Batanes, Ilocos Norte and Ilocos Sur.
Power was knocked out on Calayan island and in the entire northern mountain province of Apayao, west of Cagayan, disaster-response officials said. There were no immediate reports of casualties or further damage from Ragasa, which is locally called Nando.

Philippine President Ferdinand Marcos Jr. suspended government work and classes in all levels Monday in the capital and 29 provinces in the main northern Luzon region.
More than 8,200 people evacuated to safety in Cagayan while 1,220 fled to emergency shelters in Apayao, which is prone to flash floods and landslides. Domestic flights were suspended in northern provinces being lashed by the typhoon and fishing boats and inter-island ferries were prohibited from leaving ports due to very rough seas.
Ragasa, the 14th weather disturbance to batter the Philippines this year, comes while authorities and both chambers of Congress investigate a corruption scandal involving alleged kickbacks that resulted in substandard or non-existent flood control projects.
The typhoon is forecast to remain in the South China Sea at least into Wednesday while passing south of Taiwan and Hong Kong before landfall on the Chinese mainland.
Taiwan’s southern Taitung and Pingtung counties ordered closures in some coastal and mountainous areas as well as on the outlying Orchid and Green islands.

The typhoon is expected to sweep south of Hong Kong and Macao. Some Hong Kong residents started stocking up extra food. More than double the usual number of sandbags have been provided to flood-prone areas across Hong Kong, the government said. Macao police urged people living in low-lying areas to prepare for possible evacuation.
Ragasa is expected to bring torrential rains and heavy winds to China's mainland coastal areas starting Tuesday. The cities of Jiangmen, Yangjiang, Zhongshan and Zhuhai in southern Guangdong province ordered the suspension of schools, offices, factories and means of transportation. The typhoon could make landfall in Guangdong more than once, China’s weather agency said. Authorities urged residents to stockpile emergency supplies, reinforce doors and windows and evacuate underground areas.
Bookmark popover
Removed from bookmarks