Typhoon Haiyan: Most powerful storm to ever hit land batters Philippines with 235mph winds
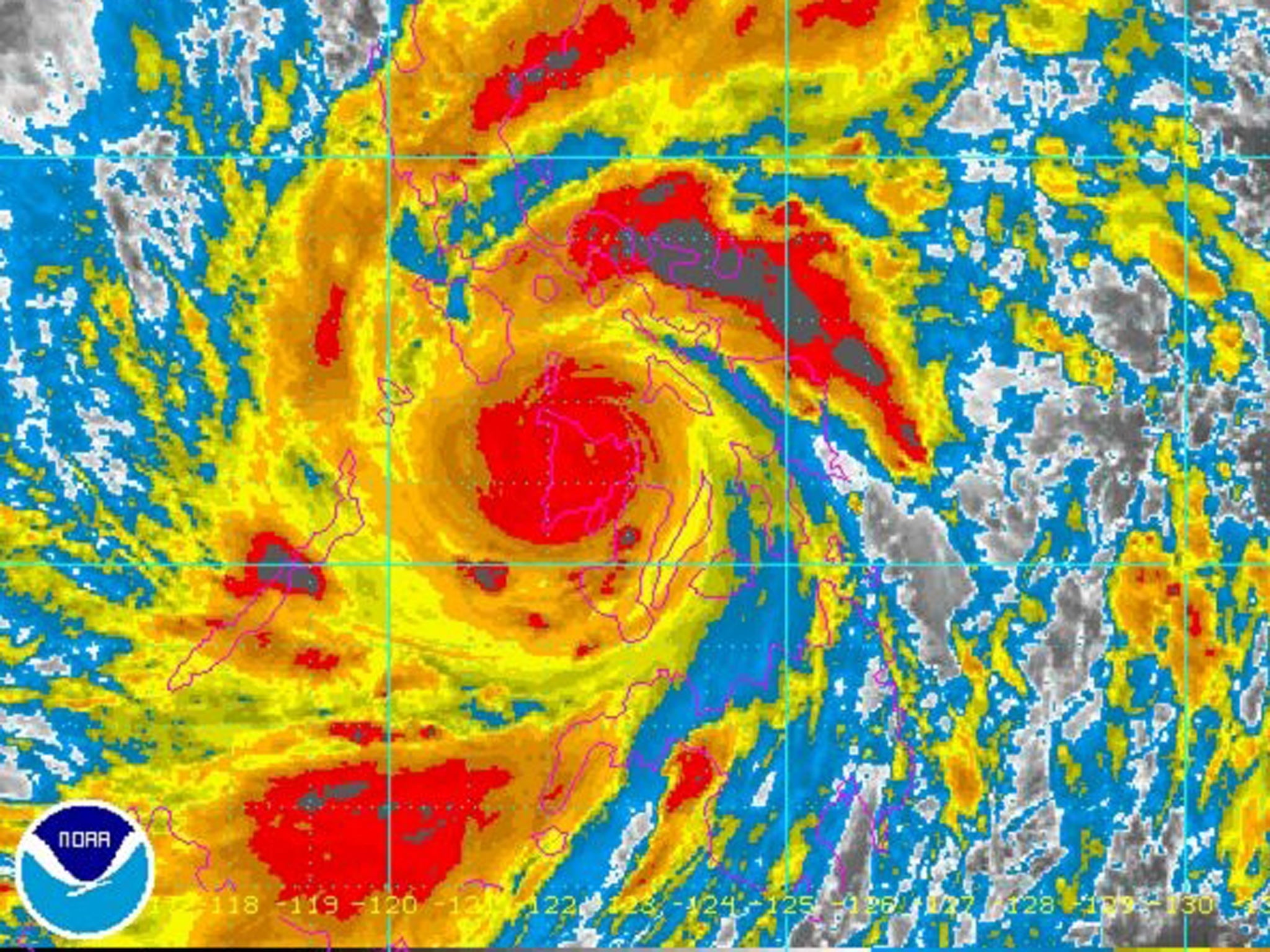
Based on satellite images meteorologists have said the super-typhoon could be the most powerful storm ever to make landfall on earth
One of the most powerful storms ever recorded battered the central Philippines, bringing winds of up to 235mph and leaving a trail of devastation.
Click here or "view gallery" to see the Typhoon Haiyan in pictures
At least 100 people were killed by the super-typhoon, which meteorologists said could be the most powerful storm ever to make landfall.
The category-five storm forced hundreds of thousands of people to flee to safer ground as it swept through the islands bringing flooding, landslides, and 15 inches of rain.
Gusts of 235mph and sustained winds of 199mph were recorded and the rain and cloud was so dense the day seemed as dark as night.
Roads were blocked and electricity supplies cut as forecasters warned of potentially catastrophic damage in a region already struggling to recover from an earthquake. The fatalities included two people who were electrocuted, one of them in southern Surigao del Sur province, a man struck by a falling tree in central Cebu province and a fourth who was struck by lightning.
Waves 15m high battered the shoreline and the storm’s estimated wind speeds of 147mph at landfall were 24mph stronger than those of Hurricane Katrina, one of the deadliest storms in history, which killed 1,833 people.
According to the Associated Press, telephone lines appeared to be down because it was difficult to contact the landfall site 405 miles south-east of Manila, where Typhoon Haiyan roared into the southern tip of Samar island.
One weather forecaster, Gener Quitlong, said the typhoon retained most of its strength because there was no large land mass to slow it down, since the region was comprised of flat islands.
But while the islanders were left to count the cost, initial reports suggested that the damage could have been much worse. The evacuation of the most vulnerable areas is through to have dramatically reduced the potential loss of life while the speed of the storm was cited as a factor in minimising its impact.
“It has helped that the typhoon blew very fast in terms of preventing lots of casualties,” said a regional military commander, Lt-Gen Roy Deveraturda. Last night, the storm headed out to sea and the Vietnamese coast.
Oxfam said today they were ready to respond to the impact of the super-typhoon.
Felipe Ramiro, acting country director of Oxfam in the Philippines said: “Initial reports from the ground indicate that the provinces of Samar and Leyte in the Visayas region are the hardest hit. Electricity in these areas has been cut off and communication has been difficult. Flights to these provinces and other areas have also been cancelled.”

“As of early afternoon today, around 42,000 families or 210,000 individuals have been affected and are staying in 562 evacuation centres in 22 provinces, according to the National Disaster Risk Reduction and Management Council.”
“Oxfam’s assessment teams will be dispatched to assess the situation of these areas. Oxfam is ready to respond to the emergency should the government need it.”
Ramiro adds: “We hope to know more in the coming hours. The Oxfam teams will be dispatched starting tomorrow, especially to areas which are at risk from hazards like flooding and storm surges and may not be able to bounce back from disaster quickly because of poverty.”
Dr Steven Godby, an expert in disaster management at Nottingham Trent University said agencies in the country may struggle to cope with this latest disaster: “Successive emergencies in the Philippines, which began with an outbreak of fighting in Zamboanga City and Basilan on 9 September and the 7.2 magnitude Bohol earthquake on 15 October, mean that the response capacities of many agencies in the country are overstretched. Given the potential magnitude of the typhoon’s impact, additional ‘surge’ support from the international community may be required."
Haiyan is already the strongest typhoon on earth this year and may be among the strongest storms ever recorded on earth. It's central pressure is reported to be somewhere below 900mb which puts it comfortably among the 20 most powerful storms ever.
Rain will also be a potentially devastating consequence of the storm with between eight and 12 inches of expected across a wide area.
Southern Leyte governor Roger Mercado told AP that 31,000 people were evacuated in his landslide-prone mountainous province before the super typhoon struck, knocking out power, setting off small landslides that blocked roads in rural areas, uprooting trees and ripping roofs off houses around his residence.

"When you're faced with such a scenario, you can only pray, and pray and pray," Mr Mercado said by telephone, adding that his town mayors had not called in to report any major damage.
"I hope that means they were spared and not the other way around," he said. "My worst fear is there will be many massive loss of lives and property."
The Philippines is well used to devastating storms, although they are rarely as powerful as Haiyan - named Yolanda locally. The typhoon is the 24th serious storm to hit the Philippines this year.

Jeff Masters, a former hurricane meteorologist who is meteorology director at the private firm Weather Underground, said the storm had been poised to be the strongest tropical cyclone recorded at landfall.
He warned of "catastrophic damage".
Join our commenting forum
Join thought-provoking conversations, follow other Independent readers and see their replies
Comments
Bookmark popover
Removed from bookmarks