Stay up to date with notifications from The Independent

Notifications can be managed in browser preferences.

Africa’s wildlife parks managers meet to boost conservation

Officials are meeting in Kigali in Rwanda this week as part of the continent’s first-ever Africa Protected Areas Congress in a bid to expand the protection of land and marine wildlife, despite little funding and the low quality of many existing conservation areas in the region

Officials are meeting in Kigali in Rwanda this week as part of the continent's first-ever Africa Protected Areas Congress in a bid to expand the preservation of land and marine wildlife, despite little funding and the low quality of many existing conservation areas in the region.

Just 14% of Africa's land and inland water ecosystems and 17% of coastal and marine areas are protected, according to United Nations estimates. The continent currently has 9,118 protected areas. Over 100 countries worldwide have ambitions to expand conservation efforts and protect wildlife from human-caused damages.

“Africa’s protected and conserved areas face serious issues that need to be addressed urgently," said Ken Mwathe, policy coordinator for Birdlife International in Africa. He said climate change, the decline in quality for protected areas due to underfunding and the growth of infrastructure development in protected areas area severely hampering biodiversity on the continent.

“The push for development in protected and other key biodiversity areas is one that governments and stakeholders should critically interrogate during the congress," Mwathe said.

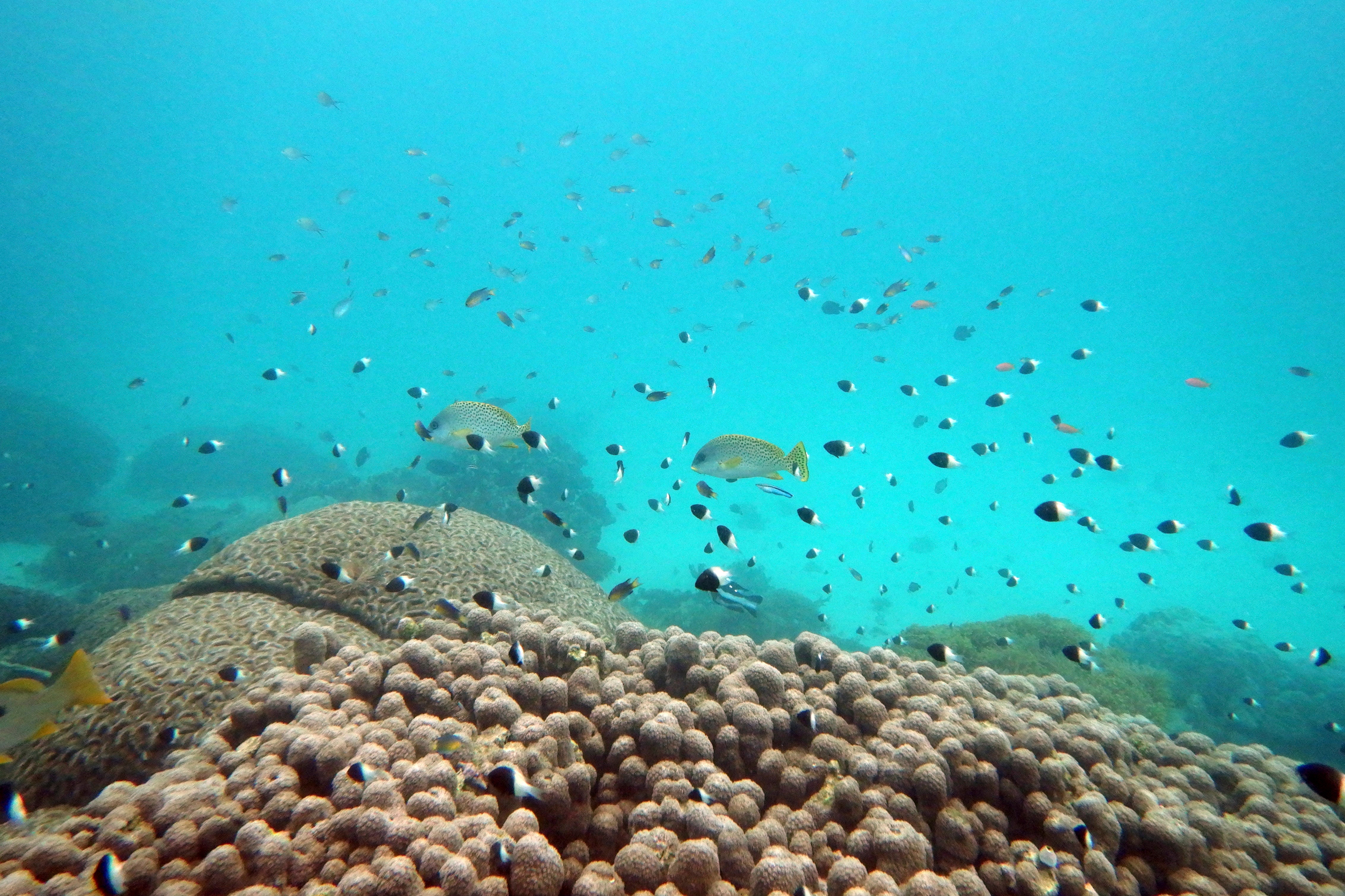
Those working on the frontlines of conservation are already facing increasing challenges. On Kenya's Wasini Island, where coral reefs and fish are protected by a community-managed marine park, conservation managers say it's difficult for these projects to succeed.

“Managing this local marine park is quite expensive for the community and requires a lot of external support," said Dosa Mshenga, a member of the community that looks after the coral reefs. “However it has a major positive side. Since we started coral restoration and watching the designated area around eight years ago, we have seen fish, octopus and even lobsters which had disappeared returning.”

But these gains are now threatened by the construction of a major fishing port in Shimoni, just 3 kilometers (1.9 miles) from the island, Mshenga said.

The Great Blue Wall Initiative — a project to protect marine life across Africa's east coast — will play a prominent part in marine conservation discussions, alongside community-led projects like those in Wasini, Luther Anukur, regional director of the International Union for the Conservation of Nature, which is hosting the conference, said. He added that local communities and Indigenous people will be at the forefront of conservation efforts.

“It is important to note that African people have not only lived alongside wildlife but have been its protectors too," Anukur said.

African governments have found themselves under increasing public pressure and international condemnation in recent weeks following evictions of Indigenous communities from conservation areas, with the Maasai in Tanzania appealing to the U.N. for better protections following violent confrontations that forced them to leave their ancestral homes in Ngorongoro Conservation Area.

The congress brings together wildlife parks and reserves managers, scientists, and Indigenous and community leaders. It's hoped that increasing the dialogue between groups will improve the health of Africa's biodiversity hotspots and combat worrying trends, such as the increase in poaching and the illegal wildlife trade.

A high-level discussion on the link between climate change and biodiversity, with an emphasis on protected areas that can significantly reduce carbon dioxide emissions, will be central to the meeting, organizer Anukur added.

___

Associated Press climate and environmental coverage receives support from several private foundations. See more about AP’s climate initiative here. The AP is solely responsible for all content.

Thank you for registering

Please refresh the page or navigate to another page on the site to be automatically logged inPlease refresh your browser to be logged in