Native bee species could be 'wiped out' as Asian hornets spread across UK, conservationists warn
Experts sound alarm over increased frequency of sightings from Yorkshire to Cornwall

Britain's native bee species face being “wiped out” by a "highly aggressive" Asian hornet, conservationists have warned after the invasive insect was spotted in two locations at opposite ends of the country.
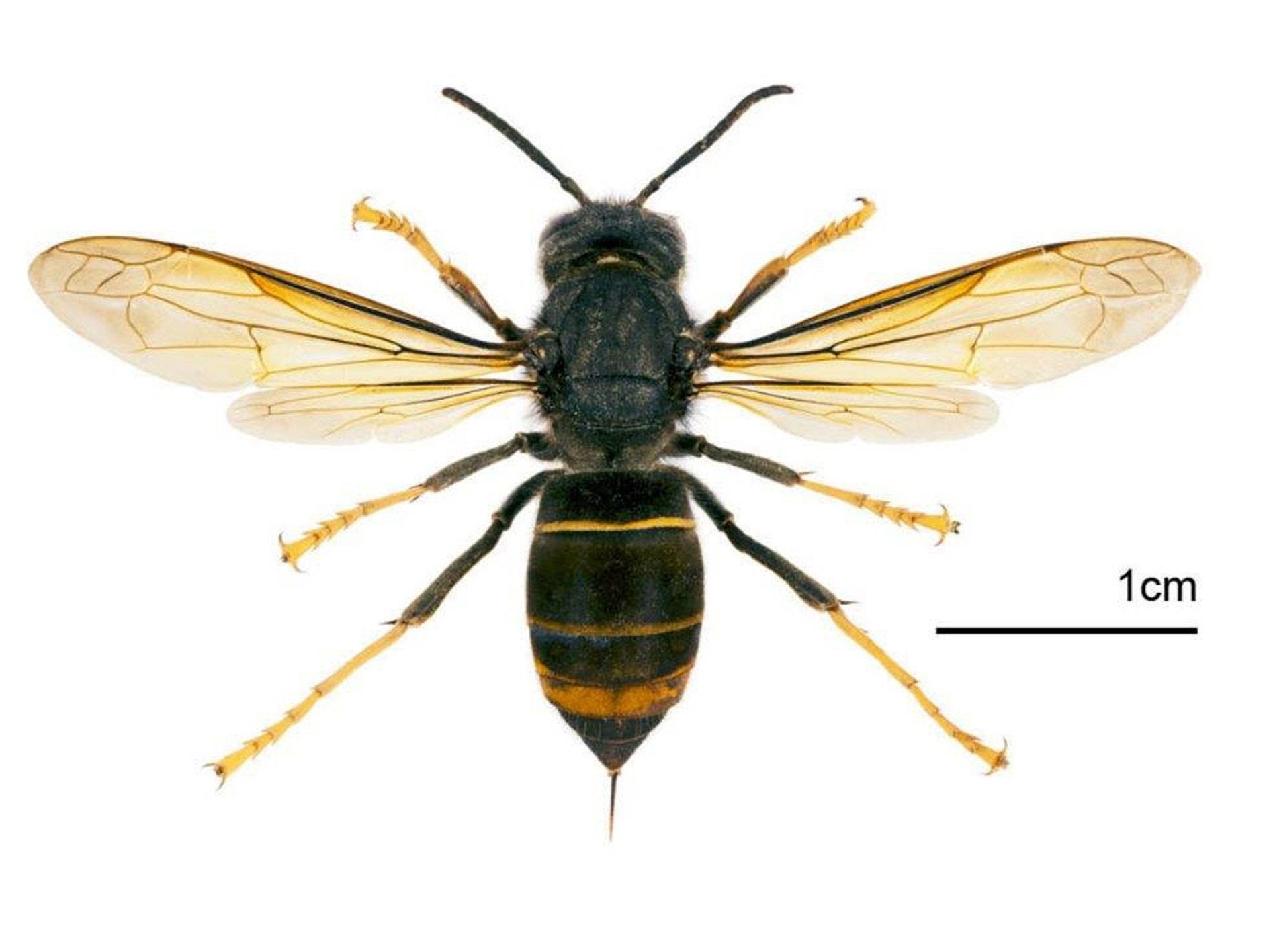
The honey bee-killing Asian hornet, which is believed to have first arrived in Europe on crates imported from China to France in 2004, has been confirmed at locations in Liskeard, Cornwall and Hull.
The creature, which is smaller than the UK's native hornet, poses no greater risk to humans than the humble wasp, but feasts on honey bees and is capable of killing around 50 a day.
Paul Hetherington, of invertebrate conservation group Buglife, warned that the increased frequency of recent Asian hornet sightings was “very concerning”, both for the bees and people whose livelihoods depended on them.
“Our big worry is how they will impact on wild bees in this country,” he told The Independent.
“The frequency of them being found is definitely on the increase. We have a few species that are now getting very rare, and each Asian hornet can eat 50 bees in a day. You could see species wiped out.”
During September the number of hornets in a nest can reach a peak, increasing the chances members of the public will spot them.
Asian hornets were first spotted in Britain in Gloucestershire in 2016. Subsequent sightings were reported in Devon, Cornwall and the Channel Islands. But the frequency and northerly spread of the insects has caused alarm.
Mr Hetherington said the sighting of Asian hornets in east Yorkshire was particularly surprising, and that the insect may have been imported directly into the UK from abroad as it would struggle to establish itself that far north on its own.
He warned warmer temperatures in Britain due to climate change would “make the country more hospitable”, but said invasive species had long been a problem for the UK.
Until now, a single Asian hornet seen in Lancashire was the most northerly sighting of the insect in the UK.
Nicola Spence, deputy director for plant and bee health at the Department for Environment, Food and Rural Affairs, said: “These sightings in Liskeard and Hull underline the need to remain vigilant.
“I want to encourage people to look out for any Asian hornet nests and if you think you’ve spotted one, please report your sighting through the Asian hornet app or online.
“While the Asian Hornet poses no greater risk to human health than a bee, we recognise the damage they can cause to honey bee colonies.”

Asian hornets have a dark brown or black velvety body, a dark abdomen and yellow tipped legs. They are described by the government-linked GB non-native species secretariat as a "highly aggressive predator of native insects".
The government has promised to cover the cost of removing the insects from private land.
Asian hornets are not the only invasive species to colonise the UK. The horse-chestnut leaf miner arrived from Macedonia in the 1980s, joined around a decade later by the harlequin ladybird, a native of Japan.
A variety of non-native aquatic species have also settled in the UK, including the Eastern European demon shrimp and the zebra mussel, which arrived 200 years ago from the Caspian Sea.
Join our commenting forum
Join thought-provoking conversations, follow other Independent readers and see their replies
Comments
Bookmark popover
Removed from bookmarks